
Der Name Canouan kommt aus der Indianersprache, er bedeutet Schildkröte. Die Insel ist 6,6 km lang und im Norden bis 3 km breit, die halbmondförmige Südhälfte ist im Schnitt aber nur 600 m breit, daraus ergibt sich eine Fläche von 7½ km². Der Mount Royal ist 274 m hoch. Canouan hat mit die schönsten Strände der Karibik. Die Bewohner leben hauptsächlich vom Fischfang oder als Kleinbauern. Der Hauptort ist Charlestown an der Grand Bay. Die langen, flachen, riffgeschützten, hellen Sandstrände sollen zu den schönsten in der ganzen Karibik zählen.


Die 700 Einwohner leben von der Landwirtschaft und dem Fischfang. Mitte der 1990er Jahre wurden etwa 350 ha Land an ein italienisches Konsortium verkauft. Es entstand der Carenage Bay Beach und Golf Club unter dem Management von Rosewood Hotels International. Im Dezember 1998 wurde der Flugplatz offiziell eröffnet.
Wir ankern an der nördlichen Inselspitze und müssen tendern.
Die nördliche, größere Inselhälfte befindet sich inzwischen im Privatbesitz von Trump International. Dort wurden Bars, Boutiquen, ein Golfplatz, ein Hotel, eine Marina, Restaurants ein Spielkasino und ein Villenviertel gebaut. Der Flugplatz wurde vergrößert. Dort entsteht noch eine weitere Marina.






Wir machen eine Segeltour mit dem Katamaran zu den Tobago Cays. Die Tobago Cays sind ein beliebtes Ziel von Segelyachten und Tauchtouristen, die in der Lagune zwischen den Inselchen eine ideale Ankermöglichkeit und am nördlichen Horse Shoe Reef die Schönheit der karibischen Unterwasserwelt vorfinden.
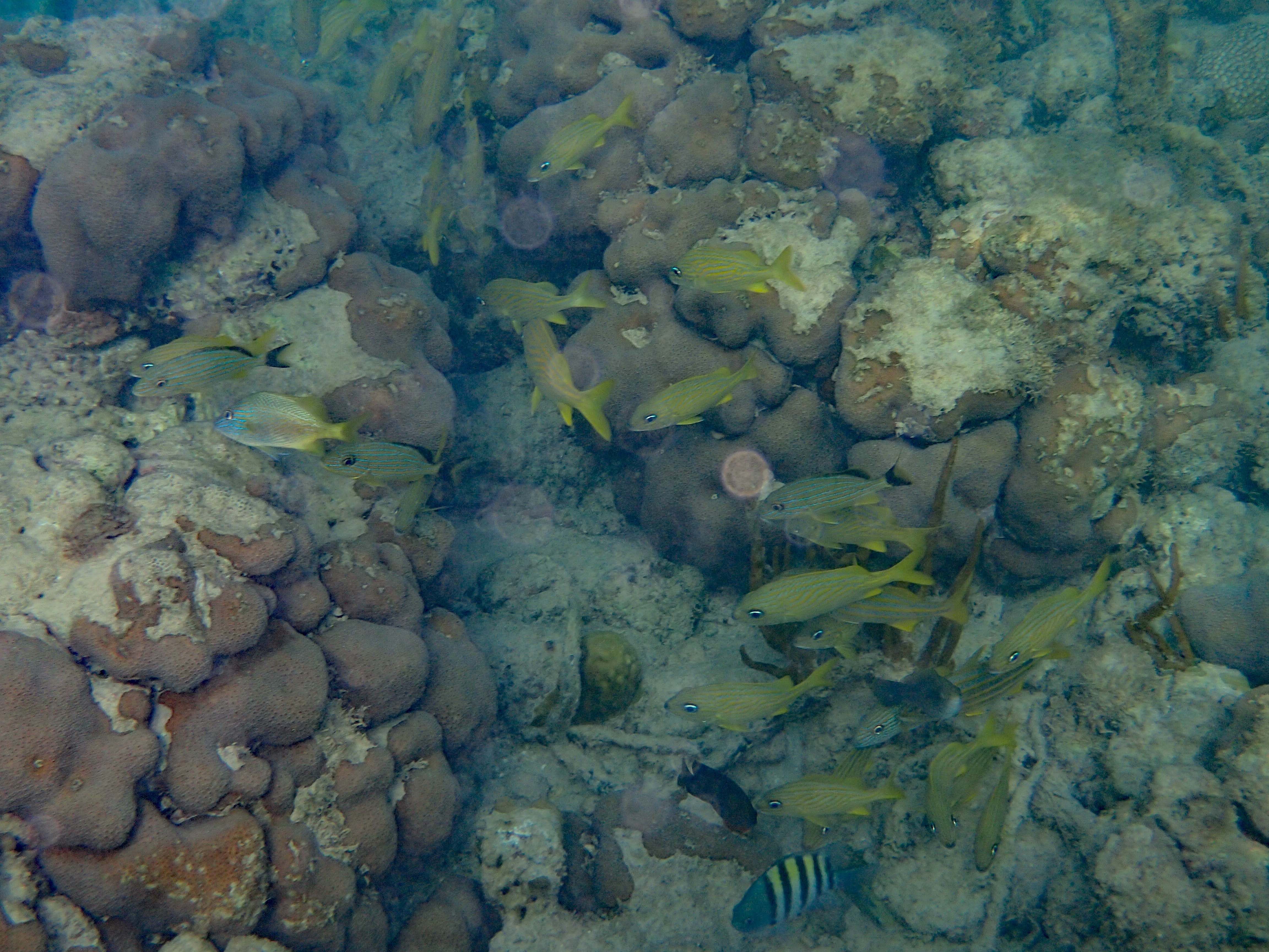
Wir machen zwei Schnorchel-Stopps. Am ersten ist die Strömung leider sehr stark, aber dafür entdecken wir Schildkröten, auch wenn wir fast nur auf der Stelle schwimmen.


Am zweiten Stopp beginnt das Riff direkt am Strand. Wir haben die Wahl: Strandidylle oder Schnorcheln.






Zurück auf Canouan gibt es am Abend dann zum Abschluss unserer Kreuzfahrt ein richtig schönes Barbecue am Strand. Ein toller Abschied.







Rücksprünge:
zurück zur Kreuzfahrt südliche Karibik
zurück zur Rundreise Kolumbien und Kreuzfahrt südliche Karibik